Wagenremise-Errichtung
Bockhorst
Die Gemeinde Bockhorst beabsichtigte zur Aufwertung und Stärkung des Standortes „Heimathaus“, Kirchstraße 20 eine Wagenremise zu errichten. Diese soll insbesondere als Rast- und Ruhebereich und zur Erweiterung des Veranstaltungsangebotes im Ort dienen.
Die Erweiterung / Weiterentwicklung von Veranstaltungen bezieht sich auf das angrenzende Heimathaus / Gemeindeverwaltung. Die Remise sollte allen Vereinen und sonstigen Gruppen und damit Jung und Alt zur Nutzung offen stehen und sich dabei als generationsübergreifender Treffpunkt etablieren und die Kommunikation im Ort fördern. Ebenso sollten Dorffeste und weitere kulturelle Veranstaltungen optimiert und ausgebaut werden (Open-Air-Veranstaltungen).
Das jährliche Lichterfest, vergleichbar einem Weihnachtsmarkt wird durch den Sozial-Ehrenamtlichen Verein (SEV) ausgerichtet. Das Heimathaus ist bereits jetzt Treffpunkt für die Dorfgemeinschaft und dient der Vorbereitung und Durchführung von Veranstaltung wie z.B. dem Erntedankfest und anderer kirchlicher Festtage (Fronleichnam). Wieder aufleben soll an diesem Standort das Dorffest, welches in der Vergangenheit durch den Heimatverein Bockhorst ausgerichtet wurde.
Die sanitären Anlagen stehen während der Öffnungszeiten des Heimathauses (Mo 14:00-17:00 Uhr bzw. Do 14:00-18:00) zur Nutzung zur Verfügung. Außerhalb der Öffnungszeiten stehen die öffentlichen Toiletten des Mehrgenerationenhauses der kath. Kirchengemeinde auf der anderen Seite der Hauptstraße für Jedermann zur Verfügung. Das Heimathaus wird kostenfrei den Vereinen und Gruppen zum Zwecke der Vereinsarbeitarbeit zur Verfügung gestellt, jedoch nicht mit der Absicht, mit der örtlichen Gastronomie in Konkurenz zu treten.
Eingebunden in dieses Projekt sind Vereine des Dorfes, die sich mit Eigenleistungen einbringen. Hierzu zählen der Heimatverein, die Landjugend sowie der Motorradclub sowie weitere, ehrenamtlich organisierte Helfer.
Durch Bockhorst verlaufen Radwanderrouten, wie bspw. die Moorerlebnisroute. Aber auch die Emsland-Rad-Route streift südlich die Gemeinde Bockhorst. Nutzer dieser Routen sollen mit einer entsprechenden Ausschilderung von der Haupt-straße zu diesem Rast- und Ruheplatz sowie zum Heimathaus geführt werden, sodass sich auch Besucher der Region einfinden. So gelangt Bockhorst stärker in den touristischen Focus. Ergänzt wird das Angebot durch eine Informationstafel, die über die Entwicklung des Ortes berichtet.
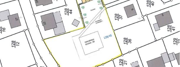
Der beiligende Lageplan zeigt den Standort der Wagenremise im hinteren Bereich des Heimathauses auf. Sie bietet neben einem verschlossenen Teil ausreichend Platz für die Aufstellung von Sitzmöglichkeiten. Diese großflächige Überdachung bietet gleichermaßen Schutz vor schlechten Witterungsbedingungen und Schatten. Platz finden dort über 20 Personen. Die Erreichbarkeit ist von der Kirchstraße und von der Hofstraße möglich.
Wagenremisen sind in der Region Hümmling früher und auch noch heute vielerorts zu finden und dienen teilweise noch immer der reinen Unterstellung von Geräten und Maschinen. Diese Remise in Bockhorst soll an die frühere Nutzung erinnern.



